La saison cyclonique 2024-2025 débute ce 1er novembre 2024. Les prévisions cycloniques pour notre bassin le Pacifique Sud nous annonce une saison dans les normes avec toutefois un risque cyclonique élevé à l’Ouest du bassin, en Nouvelle-Calédonie et aux alentours… Selon La « NIWA New Zealand” (L’Institut national de la recherche sur l’eau et l’atmosphère) 2 à 3 phénomènes cycloniques sont attendues en Nouvelle-Calédonie.
UNE ACTIVITÉ CYCLONIQUE DANS LES NORMES POUR LE BASSIN :
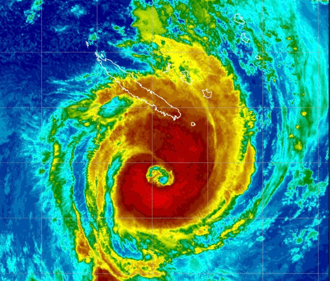
RISQUE DE PHÉNOMÈNES CYCLONIQUES PLUS INTENSE
A QUOI S’ATTENDRE POUR LA NOUVELLE-CALÉDONIE ?
Pour conclure, il faut s’attendre à une saison cyclonique plutôt dans les normes à l’échelle du bassin Pacifique Sud. Toutefois, en Nouvelle-Calédonie le risque cyclonique s’annonce plus élevé tout comme pour les régions à l’Ouest du bassin (Mer de Corail, Vanuatu, Salomon, Queensland (Australie) et la Nouvelle-Calédonie). La raison est en lien avec le contexte climatique actuel où un épisode de la Nina de faible intensité devrait débuter dès la fin d’année 2024. La probabilité de cyclones tropicaux violents est plus élevée que la moyenne, en raison des températures océaniques plus chaudes que la moyenne. La saison des cyclones tropicaux du Pacifique Sud s’étend généralement du 1er novembre au 30 avril, bien que des cyclones tropicaux puissent se former en dehors de ces dates (exemples : Cyclone DONNA (Mai 2017), Cyclone LOLA (Octobre 2023).
En cas de danger cyclonique une page spéciale sera disponible sur notre site internet sur celle-ci des cartes satellites et de trajectoire sont disponibles afin que vous puissiez suivre l’évolution d’un phénomène cyclonique. Attention, toutes les informations météo seront émises sur le groupe suivant : Regard sur le ciel (A consulter ici).
COMMENT SE PRÉPARER À LA SAISON CYCLONIQUE ?
-
Connaître les consignes de sécurité applicables pour chacune des phases d’alerte.
-
Faire l’entretien autour de son habitation.
-
Ranger tous les objets pouvant devenir des projectiles.
-
Mettre en sécurité les biens susceptibles d’être endommagés.
-
Vérifier et consolider si nécessaire les ouvertures de l’habitation et la toiture.
-
Contrôler le système d’évacuation des eaux pluviales (chenaux, gouttières, caniveaux).
-
Préparer une trousse de premiers secours.
-
Constituer une réserve alimentaire de longue conservation et une réserve d’eau potable en quantité suffisante pour plusieurs jours.
-
Prévoir un poste de radio portatif à pile avec une réserve de piles.
-
Prévoir des moyens d’éclairage de secours.
-
Stocker les équipements et outils susceptibles d’être utilisés après un cyclone.



Wow, this article is good, my sister is analyzing these things, therefore
I am going to tell her.
Good day! I could have sworn I’ve been to this site before but after reading through
some of the post I realized it’s new to me.
Anyhow, I’m definitely delighted I found it and I’ll
be book-marking and checking back often!